| 房屋基本資料 |
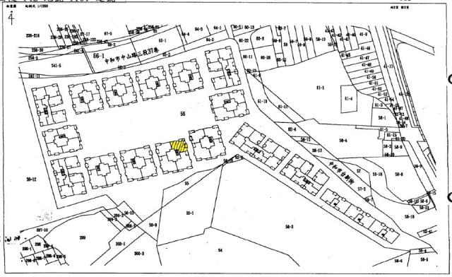
| 案名 | 元氣大鎮B棟 近中和環球│中山路三段37巷42號2樓 | 案號 | 2026/04/22-10:30停拍撤回 |
| 地址 | 新北市中和區中山路三段37巷42號2樓★ 林小陽 0966-781-595 |
| 銷售狀態 | 待標中 | 售價 | 售2668萬 |
| 房屋類型 | 大樓 | 總登記坪數 | 40.4 坪 |
| 格局 | 依房屋現場實際狀況為準 | 屋齡 | 18年 |
| 每坪單價 | 66.04 | 公設比 | |
| 車位 | | 座向 | |
| 無障礙環境 | | 法拍屋 | 本物件是法拍屋 拍次 : 開標日期 : 2026/04/22-10:30 |
| 建物所在樓層 | 2 | 管理費 | |
| 管委會 | | 中庭 | |
| 電梯 | 有 | 是否為凶宅 | |
| 300公尺內嫌惡設施 | | 面前道路 | |
| 面寬 | | 縱深 | |
| 邊間 | | 房屋銷售來源 | 不動產經紀人/專業仲介 |
| 坪數說明 |
| 建物登記總坪數 | 40.4 | 土地登記總坪數 | 4.02 |
| 主建物坪數 | 25.65 | 停車位坪數 | |
| 附屬建物坪數 | 4.21 | 公共設施坪數 | 10.54 |
| 增建坪數 | |
| 周邊環境 |
| 生活機能 | | 鄰近交通 | |
| 鄰近地標 | | 公園綠地 | |
| 鄰近學區 | | 捷運站 | |
| 房屋聯絡人資訊 |
| 聯絡人姓名 | 林先生 (煩請告知聯絡人,您是在House-Info房屋資訊網看到這則廣告,真摯感恩您的幫忙) |
| 手機 |  0966-781-595 | 電子信箱 | |
| | Line加入好友 |  |
| 所屬公司名稱 | 優室法拍屋│Google五星商家│林小陽│專業法拍代標│信義房仲經驗│全台為您服務│凌陽有限公司 | 公司地址 | 台北市中山區民生東路三段31號11樓 (瑞星名廈/BMW汽車對面)│法拍代標專業推薦 林小陽 |
| 公司電話 | 專線:0966-781-595 / LINE:0966781595 / 公司:02-25000075 | 公司傳真 | ★法拍代標最專業推薦 優室林小陽★ |
| 網 址 | http://www.優室法拍屋.tw |